Лошади — верные спутники человека и удивительные создания с уникальной красотой и разнообразием. В этой статье представлен рейтинг самых красивых и необычных лошадей мира, чтобы познакомить читателей с их великолепием и особенностями. Знание различных пород и их характеристик поможет любителям лошадей лучше понять этих грациозных животных и вдохновит на дальнейшее изучение их мира.
Арабская чистокровная
Об этой породе лошадей ходят легенды, их называют «сокровищем Востока», даром Аллаха и восточной жемчужиной. Речь идет об одной из самых древних и чистокровных пород в мире – арабских скакунах. Достаточно одного взгляда на фотографию этого животного, чтобы понять – это самый красивый конь на планете. По некоторым данным, эта порода существует уже более 5000 лет и стала основой для многих других верховых пород.
Особенность арабских лошадей заключается в их уникальном строении тела. Например, в отличие от других пород, у арабов 17 ребер вместо 18, 5 поясничных позвонков вместо 6 и всего 16 хвостовых позвонков, а не 18. Кроме того, у них есть характерный «щучий» профиль, то есть, вогнутая форма морды. Эти особенности связаны с их происхождением и местом формирования породы, а именно Аравийским полуостровом с его суровым и жарким климатом.
Эксперты в области коневодства и зоологии отмечают, что разнообразие пород лошадей поражает воображение. Среди самых красивых выделяются арабские скакуны, обладающие грациозной фигурой и выразительными глазами. Их элегантность и благородство делают их символом красоты в мире лошадей. В то же время, необычные породы, такие как фризская лошадь с её густой гривой и черным окрасом, привлекают внимание своей уникальностью. Также стоит упомянуть о пони с необычными окрасками, которые становятся настоящими звездами социальных сетей. Эксперты подчеркивают, что каждая порода имеет свои особенности и очарование, что делает мир лошадей невероятно разнообразным и интересным для изучения.
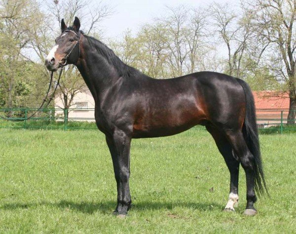
Ахалтекинская лошадь
Ахалтекинские скакуны считаются вторыми в мире по красоте и необычности после арабских. Это также очень древняя порода, которая сформировалась более 3 000 лет назад в пустынях Туркменистана, а именно в районе оазиса Ахал. Изначально эти скакуны выводились для военных целей, поэтому выносливость, смелость и легкость коней были первостепенными при длительной селекции. Эти все качества они сохранили и по сей день, являясь лучшими верховыми лошадьми в мире.
Кроме того, эти лошади отличаются и внешне от других, обладают уникальными чертами. Как говорят специалисты, это связано не только с особым местным климатом Туркменистана, но и с длительной изоляцией Ахалтекинцев от других пород. Ахалтекинцы отличаются стройным, немного поджарым, элегантным телом, с красивой точеной шеей и небольшой головой. В отличие от других пород, у Ахалтекинцев очень редкая грива и хвост, а также отсутствует челка.
| Порода | Особенности внешности | Примечания |
|---|---|---|
| Ахалтекинская лошадь | Металлический блеск шерсти, длинная шея, тонкая кожа | «Золотая лошадь», одна из древнейших пород |
| Фризская лошадь | Вороная масть, длинная грива и хвост, пышные щетки на ногах | Элегантная и мощная, часто используется в выездке |
| Аппалуза | Пятнистый окрас (леопардовый, чепрачный), мраморные глаза | Индейская порода, известна своей выносливостью |
| Норвежский фьорд | Изабелловая масть, стоячая грива с темной полосой по центру | Компактная и крепкая, характерная «зебровая» грива |
| Цыганская упряжная (Тинкер) | Пегий окрас, обильные щетки на ногах, густая грива и хвост | Спокойный нрав, часто используется в упряжи и для верховой езды |
| Кнабструппер | Пятнистый окрас (часто леопардовый), похож на аппалузу | Датская порода, известна своим уникальным рисунком шерсти |
| Роки-Маунтинская лошадь | Шоколадно-гнедая масть с льняной гривой и хвостом, «серебряный» ген | Мягкий ход, выносливость, родом из США |
| Арабская лошадь | Вогнутый профиль, высоко поставленный хвост, изящное телосложение | Одна из древнейших и самых влиятельных пород, символ красоты |
| Исландская лошадь | Пять аллюров (включая тёльт и иноходь), густая шерсть, крепкое телосложение | Уникальные аллюры, выносливость в суровых условиях |
| Шайр | Крупнейшая порода лошадей, обильные щетки на ногах, мощное телосложение | «Нежный гигант», используется как упряжная и рабочая лошадь |
Интересные факты
Вот несколько интересных фактов о самых красивых и необычных лошадях со всего мира:
-
Арабская лошадь: Арабские лошади считаются одними из самых красивых и элегантных пород. Их характерные черты включают высокую грудь, изящную шею и большие, выразительные глаза. Эта порода также известна своей выносливостью и способностью преодолевать большие расстояния, что делает их популярными в конных соревнованиях и дальних поездках.
-
Пинто: Лошади породы пинто выделяются своим уникальным окрасом, который сочетает в себе большие пятна белого и другого цвета (обычно черного или коричневого). Эти лошади не только красивы, но и имеют богатую историю, связанную с коренными американскими народами, которые использовали их в своих культурах.
-
Шетландский пони: Несмотря на свои небольшие размеры, шетландские пони обладают удивительной силой и выносливостью. Они могут быть разных окрасов, но особенно привлекают внимание своей пушистой гривой и хвостом. Эти пони часто используются в терапии и обучении детей, благодаря своему дружелюбному характеру и привлекательной внешности.
Испанская или Андалузская
Еще одна порода, которая по праву может носить титул «самый красивый конь» в мире. Эти великолепные скакуны стали основой для знаменитой Испанской школы высшей верховой езды, а также для Венской школы. Они активно участвуют в конной корриде и национальных шоу в Испании, а также используются для выездки. Считается, что среди их предков можно найти восточные Берберийские, Варварийские и Арабские лошади.
Несмотря на свою внушительную конституцию и мощный корпус, Андалузцы являются великолепными верховыми лошадьми. Их движения отличаются элегантностью и высоким подъемом, а осанка изначально благородна. Пышные грива и хвост придают им особый шарм. Они выглядят великолепно как в упряжи, так и под седлом.
У Андалузцев от природы слегка подставленные задние ноги, что придает их осанке величественность и собранность. Эти лошади красиво выгибают шею и высоко поднимают ноги. Однако лучше всего это можно оценить на видео.
https://youtube.com/watch?v=SyDxYmvUQYg
Английская чистокровная
Эта порода лошадей – образец всех породистых скакунов, самая совершенная и самая красивая, о чем говорит даже ее название. На английский манер порода звучит как Thoroughbred, что означает – «выведенная в совершенстве». Сегодня чистокровки служат генетическим материалом для улучшения всех верховых пород, а также для выведения новых. Сама же порода разводится исключительно «в чистоте» (без примесей других), поэтому называется чистокровной.
На сегодняшний день Английская чистокровная – это идеальный скакун и лошадь для скачек. Они обладают очень высокой резвостью – до 70 км в час и уникальным строением тела. В отличие от других они имеют более крупное сердце, объемные легкие и соответственно более широкую глубокую грудь. У них крепкие выносливые ноги, очень развиты мышцы и сухая голова с прямым профилем.
Аппалуза
Чубарая масть – это необычная порода лошадей, отличающаяся своей уникальной пятнистой окраской. Эти американские лошади впервые появились в XVIII веке в долине реки Полуоз, где их обнаружило индейское племя Неза Перса. Их необычная расцветка сразу привлекла внимание, и невысокие, крепкие лошадки стали настоящей находкой. На сегодняшний день Аппалуза по праву считается одной из самых красивых пород в мире коневодства.
Среди Аппалузов можно выделить 13 различных вариантов пятнистых окрасок, однако самой привлекательной считается масть, известная как изморозь – светлые крапинки на темном фоне. Также популярностью пользуются мраморный, леопардовый и чепрачный окрас, как можно увидеть на представленных фотографиях.
Липиццанская
Еще одна порода, которая заслужила по праву называться самой красивой. Эти белоснежные лошади сегодня составляют основу Венской школы верховой езды. Именно для этих целей их разводят сегодня на знаменитом Австрийском конном заводе Пибер. Липпицианы бывают исключительно серой масти, а на втором годе жизни приобретают вовсе белоснежную окраску. Это, конечно же, выгодно выделяет их от других пород.
Однако самое основное качество этих скакунов заключается в их необычайной гибкости, выносливости, крепости конституции. Эти лошади с легкость выполняют самые сложные трюки и элементы высшей школы верховой езды. Они делают прыжки в воздухе, а еще прыгают с места (каприоль), что очень сложно и в природе животные не способны к такому трюку. Как они это делают, смотрите на видео.
https://youtube.com/watch?v=9AxqXoCC-b8
Лузитанские
Некоторые могут заметить, что эта порода напоминает Андалузов. И это действительно так, поскольку у них есть общие предки. Можно с уверенностью утверждать, что Лузитано представляет собой португальский аналог испанских Андалузов. Эти лошади не только отличаются эффектной внешностью с роскошной гривой и хвостом, но и обладают выдающимся природным балансом, что делает их востребованными на различных конных мероприятиях. Особенно стоит подчеркнуть, что Лузитано считается одной из лучших пород для корриды.
Терская
Молодая отечественная порода, которая по красоте и грациозности сравнима только с арабскими скакунами. Эти лошади были выведены в очень красивом месте – в степной зоне Северного Кавказа. Имея отменную внешность, они также отличаются выносливостью, неприхотливость и хорошими верховыми качествами. Ежегодно эти кони завоевывают призовые места в конном спорте, а также покоряют сердца многих коневодов далеко за пределами родины.
Фризская
Эту породу называют «черным жемчугом Фрисландии». Первоначально они были выведены для военных нужд и транспортировки грузов, но их необычная внешность сделала их одними из самых популярных лошадей в мире. Они с гордостью носят титул «самого красивого коня на планете». Уверены, что вы не сможете с этим не согласиться, взглянув на фотографии Фризов. Эти лошади идеально подходят для эффектных запряжек: они нарядные и величественные.
Шайр
Несмотря на то, что эти лошади одни из самых крупных в мире и относятся к тяжеловозам, многие считают их очень красивыми. Эти скакуны традиционно являются украшением многих праздников, конных шоу и выставок. Они очень крупные, но обладают красивым внешним видом, пышной гривой и хвостом. Особого шарма придают животные пышные длинные фризы на ногах. Запряжка шайров всегда станет украшением любого мероприятия.
Извините, в настоящее время нет доступных опросов.
Фотогалерея
Видео «ТОП 20 лучших лошадей мира»
В этом видео предлагаем продолжить наслаждаться красотой красивых животных. Необычные масти дополнят общий вид лошадей.
https://youtube.com/watch?v=3fUn1s8M1WY
Редкие породы лошадей
Лошади — это не только грациозные и сильные животные, но и настоящие произведения искусства, созданные природой и человеком. Среди множества пород, существующих в мире, есть такие, которые выделяются своей необычной внешностью, окрасом или уникальными характеристиками. Рассмотрим несколько редких пород лошадей, которые поражают своим великолепием и необычностью.
1. Апеннинская лошадь
Эта порода происходит из Италии и известна своим компактным телосложением и сильными конечностями. Апеннинские лошади имеют короткую, но мускулистую фигуру, что делает их идеальными для горных условий. Их шерсть может быть различных оттенков, но чаще всего встречаются рыжие и гнедые особи. Эти лошади не только красивы, но и очень выносливы, что делает их популярными среди местных фермеров.
2. Кеманская лошадь
Кеманская лошадь — это редкая порода, происходящая из Аргентины. Она отличается своей уникальной внешностью: у нее длинная шея и мощные ноги, что придает ей грациозный вид. Окрас этих лошадей варьируется от светло-коричневого до черного, а их шерсть часто имеет необычные пятна. Кеманские лошади известны своей умной и дружелюбной натурой, что делает их отличными компаньонами для всадников.
3. Кони Пржевальского
Эта порода является одной из самых редких и уникальных в мире. Кони Пржевальского имеют короткую, крепкую фигуру и характерный окрас с полосами на спине. Они являются дикими лошадьми, которые обитают в степях Центральной Азии. Эти лошади прекрасно адаптированы к суровым условиям и известны своей выносливостью. Кони Пржевальского также играют важную роль в сохранении биоразнообразия, так как их популяция находится под угрозой исчезновения.
4. Сардинская лошадь
Сардинская лошадь — это порода, происходящая с одноименного итальянского острова. Эти лошади небольшого роста, но отличаются крепким телосложением и хорошей выносливостью. Их шерсть может быть различных оттенков, но чаще всего встречаются гнедые и черные особи. Сардинские лошади используются в сельском хозяйстве и для верховой езды, а также славятся своим спокойным характером.
5. Кони Бурятии
Эта порода лошадей, обитающая в России, известна своей уникальной внешностью и способностью выживать в суровых климатических условиях. Бурятские кони имеют короткую, но мощную фигуру и густую шерсть, что помогает им сохранять тепло в холодные зимы. Их окрас варьируется от светло-рыжего до черного, а характерные черты включают в себя широкую голову и крепкие ноги. Эти лошади используются как для верховой езды, так и для работы в сельском хозяйстве.
Каждая из этих редких пород лошадей не только обладает уникальной внешностью, но и имеет свою историю и культуру, связанную с ней. Они являются неотъемлемой частью наследия человечества и продолжают вдохновлять людей по всему миру своей красотой и грацией.
Вопрос-ответ
Какие породы лошадей считаются самыми красивыми?
Среди самых красивых пород лошадей выделяются арабская, персидская и фризская. Арабские лошади славятся своей грацией и выразительными чертами лица, персидские — мощным телосложением и блестящей шерстью, а фризские — элегантной фигурой и длинной гривой.
Что делает лошадей необычными?
Необычность лошадей может проявляться в их окрасе, форме тела или даже в характерных чертах. Например, лошади с редкими окрасами, такими как пегий или изабелловый, привлекают внимание. Также существуют породы с уникальными физическими особенностями, как, например, миниатюрные лошади или лошади с особой структурой гривы.
Где можно увидеть самых красивых и необычных лошадей?
Самых красивых и необычных лошадей можно увидеть на специализированных выставках, конных шоу и соревнованиях. Также многие конные клубы и питомники предлагают экскурсии, где можно познакомиться с различными породами и их особенностями вживую.
Советы
СОВЕТ №1
Изучите различные породы лошадей, чтобы лучше понять, какие из них считаются красивыми и необычными. Обратите внимание на их особенности, такие как окрас, форма головы и строение тела, чтобы расширить свои знания о мире лошадей.
СОВЕТ №2
Посетите выставки и соревнования по конному спорту, где можно увидеть множество красивых лошадей вживую. Это не только позволит вам насладиться их красотой, но и даст возможность пообщаться с владельцами и заводчиками, которые могут поделиться интересной информацией.
СОВЕТ №3
Следите за новостями и публикациями в специализированных журналах и онлайн-ресурсах о лошадях. Это поможет вам быть в курсе последних трендов и открытий в мире коневодства, а также познакомит с редкими и необычными породами.
СОВЕТ №4
Если у вас есть возможность, попробуйте заняться верховой ездой или ухаживанием за лошадьми. Это не только позволит вам ближе познакомиться с этими удивительными животными, но и даст возможность оценить их красоту и индивидуальность на практике.






